Milyonlarca İnsan Tehlike Altında: Mocha Kasırgası, Yüzbinlerce Mültecinin Bulunduğu Yere Doğru İlerliyor
WMO açıklamasında “WMO, insani yardım kuruluşlarına bu çok tehlikeli tehdide karşı harekete geçmelerine yardımcı olmak için tahminler ve meteorolojik destek sağlıyor” ifadelerini kullandı.
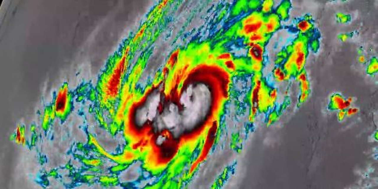
WMO, Saffir Simpson ölçeğinde kategori 3 gücünde olan Mocha’nın saatte 190 km hızla esen rüzgarlarla karaya ulaşacağını belirtti. Mocha’nın yaratacağı tehlikeler arasında, kıyı bölgelerinin su altında kalması, sel, ani sel ve toprak kayması ve şiddetli rüzgarlar olduğu kaydedildi.

Milyonlarca insan tehlike altında
WMO, Mocha’nın karaya ulaşacağı bölgelerle ilgili değerlendirmesinde “Cox's Bazaar, dünyanın en büyük kampı olarak yaklaşık bir milyon Rohingyalı mülteciye ev sahipliği yapıyor. Komşu Myanmar'daki Rakhine eyaletinde insani yardıma muhtaç yaklaşık altı milyon kişi bulunuyor” ifadelerini kullandı.
BM kurumları hazırlıklara başladı
BM’e ait uydu yönetim merkezi UNOSAT, uydularla bölgeyi takip ettiklerini belirtip ani sel ve toprak kaymalarına karşı tedbir aldığını ifade etti. UNICEF Myanmar ise “Düşüncelerimiz çocuklar, aileler ve tüm arkadaşlarımız, çalışanlarımız, meslektaşlarımız ve ortaklarımızla birlikte - yarın potansiyel olarak yıkıcı bir Mocha Kasırgası ihtimaliyle karşı karşıyalar” dedi. BM kuruluşlarına bağlı çalışanlar ve gönüllüler özellikle mülteci kamplarında tedbir almaya devam ettiklerinin altını çizdi.

DSÖ 33 gezici sağlık ekibi konumlandırdı
İsveç Kızıl Haçı, Myanmar tarafından yaşayan 18 milyon insanın normal zamanda insani yardıma ihtiyaç olduğunu ve bunların yüzde 40’nın fakirlik seviyesinin altında yaşadığına dikkat çekerek çocukların güvenli yere götürülmesi için çalıştıklarını ifade etti.

Dünya Sağlık Örgütü ise mülteci kampı için 33 gezici sağlık ekibi ve 40 ambulansın yanı sıra acil ameliyat ve kolera kitlerini önceden konuşlandırdı.